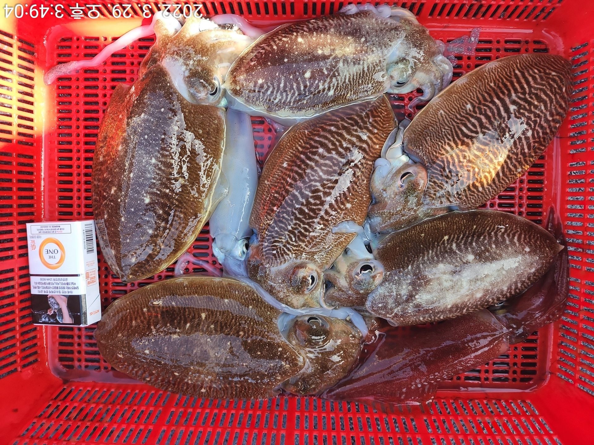
3월29일 클럽씨호 먼바다갑오징어 조황

10분 모시고 먼바다 갑오징어낚시 다녀왔습니다.

하루종일 꾸준히 나와줬는데 잘잡는분과 못잡는분의 편차가 심한것같습니다.

그래도 모두 열심히 해주셔서 감사합니다.

수고 많으셨습니다.


클럽씨피싱 밴드

https://band.us/@clubseawando 






















 



captcha
자동등록방지 숫자를 순서대로 입력하세요.

조황정보

공지 2026년 3월29일 심해갑오징어 낚시대회 결과입니다. 클럽씨피싱완도 03-30 1,748
공지 3월29일 일요일 클럽씨피싱 미니 심해갑오징어 대회 클럽씨피싱완도 03-23 2,767
공지 지깅하실분 참고하세요(25.12.14 수정) +7 클럽씨피싱완도 10-20 10,408
공지 함께할 사무장님 구합니다.. 완도점 04-08 4,751
공지 2023년 한치이카메탈 예약안내 +1 완도점 02-16 6,740
공지 1월8일 클럽씨피싱 방어지깅 대회 결과 클럽씨피싱완도 01-08 4,696
공지 2023년 1월8일 완도 방어대회 안내(1월7일 수정) 클럽씨피싱완도 12-24 5,172
공지 주간낚시 셔틀버스 탑승지 시간안내입니다. +2 클럽씨피싱완도 11-28 6,065
공지 카플정보 게시판 사용안내 +1 클럽씨피싱완도 04-24 7,764
공지 클럽씨피싱 완도점과 함께할 출조점을 구합니다.(10월11일 최종변경) +1 클럽씨피싱완도 08-25 10,169
공지 참돔타이라바, 열기 낚시 시즌입니다 클럽씨피싱완도 12-10 11,602
공지 열기,방어부시리 ,참돔타이라바 버스 이용안내입니다 +1 클럽씨피싱완도 12-10 30,310
공지 클럽씨피싱 완도점 준비상황 +5 클럽씨피싱완도 04-05 13,652
공지 클럽씨피싱 완도점오픈 +8 클럽씨피싱완도 03-18 12,613